我国科研团队在南海北部海底,探明一条长达1100公里的活动大陆坡断裂带。
这条断裂带最高可触发7.5级强震,还能引发海底滑坡、海啸连锁灾害,直接威胁华南沿海核心区域,潜藏风险远超大众固有认知。

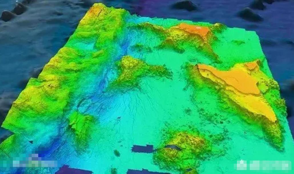
深海探获
中国科学院深海科学与工程研究所联合中山大学、中国石油大学(华东)等多家科研单位,用高精度多道地震、重磁和海底地形数据,完成了对这条陆坡断裂带的系统探查。
这项研究的相关成果,已经正式发表在国际专业期刊上,所有数据都经过多轮实地探测验证。

这条断裂带发育在南海北部陆架坡折带附近,整体呈北东东走向,全长足足1100公里。
它的平面和剖面结构,呈现出正断兼走滑的特征,属于典型的活动断裂带。
科研人员通过断距分析和生长指数测算,确认这条断裂带在晚第四纪以来,已经发生过多次活动。

它的活动痕迹直接切穿了晚更新世的地层,不存在已经休眠的可能,未来仍会持续发生构造活动。
在此之前,这片海域的地质研究,大多集中在沉积盆地演化和结构形态上,这条长达千公里的活动断裂带,没有被系统记录和完整探明,属于长期被忽略的重大地质风险源。

震级锁定
根据断裂带的分段结构和地质参数测算,这条陆坡断裂带的西段,单次活动就具备触发6.7到7.2级地震的能力。

结合南海北部同区域的地质构造背景和历史地震记录,这条断裂带全段联动活动时,最高可触发7.5级的强震。
南海北部沿海区域,历史上已经发生过多次同震级的海底强震。

1605年海南琼州北部发生7.5级大地震,震中烈度达到10度,重灾区覆盖海口、澄迈、临高、文昌多地,震感最远传到600多公里外的湖南临武县。
1918年广东南澳附近海域发生7.5级地震,破坏范围覆盖粤东、闽南多地,是20世纪我国华南沿海发生的最强地震。

这些历史地震的发震构造,都和本次探明的陆坡断裂带处于同一地质活动体系。
我国大陆绝大多数8级地震,以及80%以上的7级强震,都发生在活动断裂带的边界上。
这条千公里长的活动断裂带,完全具备孕育强震的地质条件,不存在能量无法积累的情况。

灾害连锁
这条海底断裂带的活动,带来的风险不只是地震本身。
海底断裂活动触发地震后,通常会连带引发海底滑坡-海啸灾害链,整体破坏性比陆上同震级地震大得多。

这条断裂带的南侧边界,已经发现多处大规模海底滑坡体,地震产生的震动,会直接触发这些滑坡体整体滑动,进而引发海啸。
南海北部并非海啸免疫区,历史上的多次强震都伴随明确的海啸现象。

1604年福建泉州8级地震,史料记载山石海水皆动,大量船只倾覆沉没。
1918年南澳7.5级地震,出现了海潮退而复涨的典型海啸现象,汕头港内停泊的船只直接搁浅触底。

如今这条断裂带紧邻的华南沿海,分布着粤港澳大湾区、海南自由贸易港等核心发展区域,密集布局了核电站、大型港口群、海洋牧场、海上风电等重大基础设施。
一旦发生强震和连锁海啸,这些基础设施会直接受到冲击,沿海居民的生命财产安全也会面临直接威胁。

海啸波在南海北部陆坡的地形影响下,能量会出现汇聚效应,直接冲向人口密集的沿海城市群,破坏范围会进一步扩大。

风险警示
这次对陆坡断裂带的系统探明,填补了我国南海北部海域活动断裂研究的空白。
此前这片海域的活动断裂监测,大多集中在近岸的滨海断裂带,这条远离海岸的陆坡断裂带,长期没有纳入重点监测范围。

这次研究获取的完整数据,为我国海域地质灾害评估,提供了最基础的核心数据。
我国是世界上大陆强震最多的国家之一,在7%的国土上承受了全球33%的大陆强震,沿海海域的地质灾害防控,一直是防震减灾工作的重要环节。

这条陆坡断裂带的活动周期和发震规律,还需要后续持续的加密监测和深入研究。
目前已经明确的是,这条断裂带处于活动状态,具备触发强震和连锁灾害的能力,相关的风险防控工作必须提前推进。

华南沿海的城市建设、重大工程规划,都需要参考这次探明的断裂带数据,提前做好地质灾害风险评估和应对预案。
这条藏在深海里的断裂带,不是遥不可及的地质现象,而是直接关系到华南沿海千万人生产生活的重大风险源。
信源:
