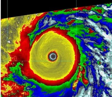
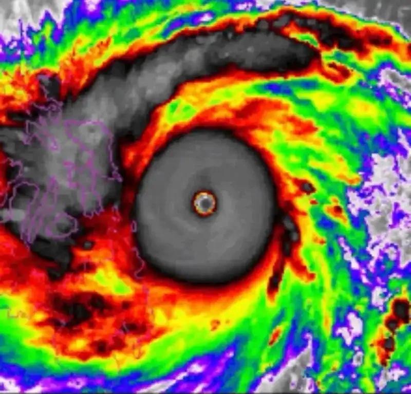
全年代全球风王海燕12周年纪念! 2013年第30号台风海燕以185kt,880hpa的史上最高强度成为全年代全球风王,震惊全世界,它不仅打破了传统德沃夏克分析法的上限,更诠释了“完美风暴”,它185kt的强度令人难以想象。 根据菲律宾国家减灾委员会事后发布的最终报告,“海燕”共造成菲律宾6300人死亡、1062人失踪、28688人受伤,经济损失954.83亿菲律宾比索 。 JTWC数据 五级超级台风(170kt,895hPa) CMA数据 超强台风(17级以上,78m/s,890hPa) JMA数据 猛烈台风(125kt,895hPa) 自评数据 185kt,880hpa 12年过去,没有任何风暴能够超越海燕。海燕是地球大气暴力美学的巅峰之作,也是人类自卫星年代以来遇到过的最大台风灾害。 悼念因海燕受灾的菲律宾人民,永远铭记这场风暴! 台风 气象 台风来了 最强台风 风王 台风海燕 海燕 纪念


