云城西北延线(云康南路-鹤龙东路)项目位于⼴州市⽩云区鹤⻰街道,云启路南侧,处于鹤龙一路以东、白云大道北以西、广佛肇高速以南、黄石北路以北;解放庄路位于鹤龙东路东侧,处于广云路以东、白云大道北以西、广佛肇高速以南、黄石北路以北。


本项目包含2条道路:云城西北延线(云康南路~鹤龙东路)和解放庄路。
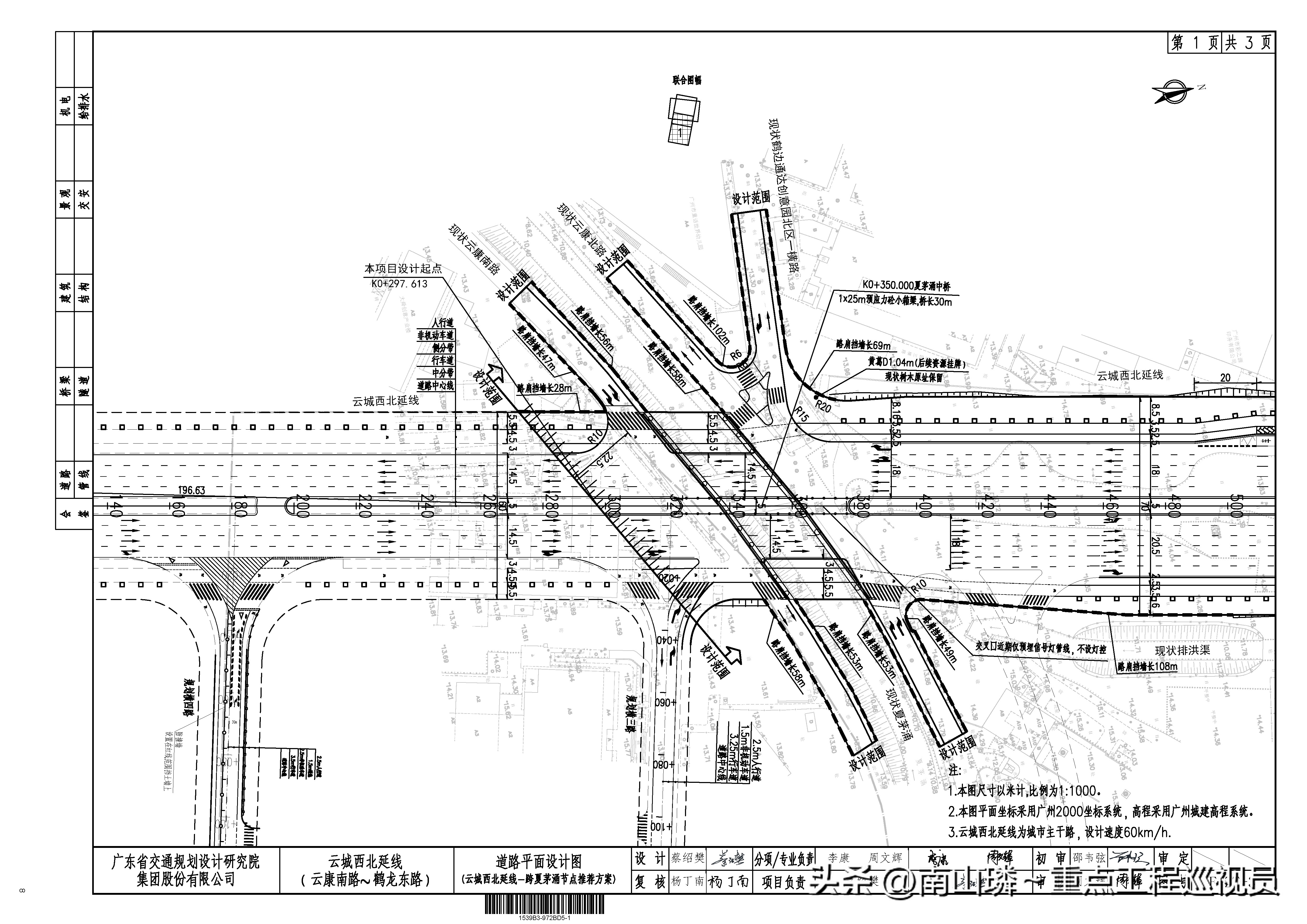
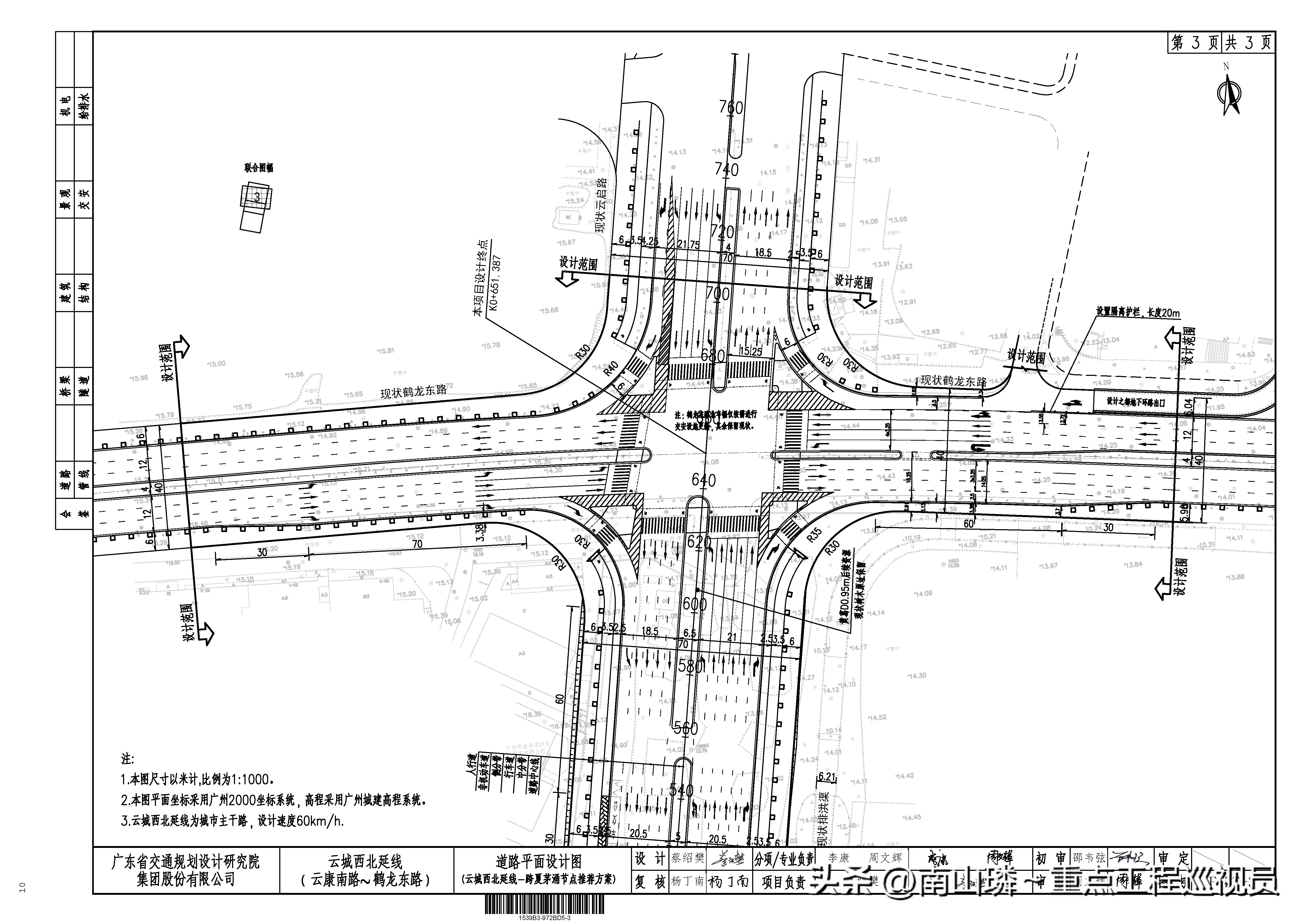
1、云城西北延线(云康南路~鹤龙东路):南起现状云康南路,北接现状云启路,路线全长约354m,规划标准段宽度60米(展宽路段70m),采用城市主干路标准,双向八车道,设计速度60km/h。




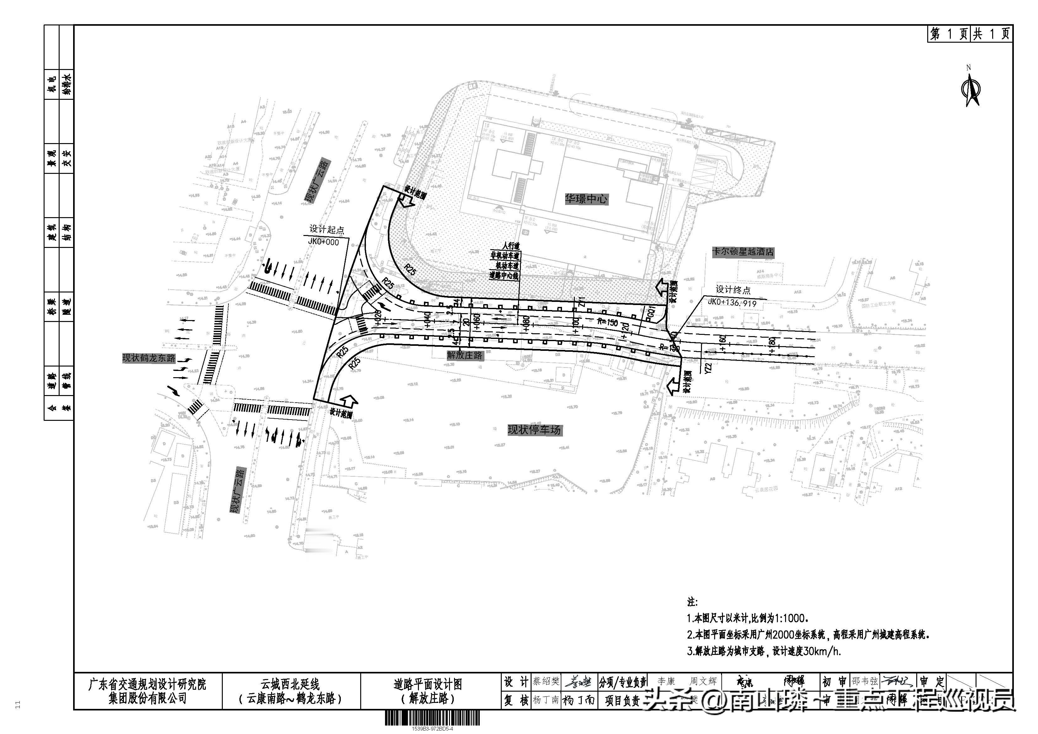
2、解放庄路:西起现状广云路,东至卡尔顿星越酒店路口,路线全长约140m,设计宽度20米,采用城市支路标准,双向两车道,设计速度30km/h。

根据片区路网规划,云城西北延线(云康南路~鹤龙东路)主要打通在建的新城建示范及智能建筑产业园(一期)与周边云启路、鹤龙东路的交通连接脉络,提升本地区出行的交通体验,为完善该片区的区域路网布局提供必要的基础条件。
解放庄路改造提升主要是配合北侧华璟中心地块及政务服务中心的建设需要,完善交通和管线衔接,提升城市面貌。
云城西北延线(云康南路~鹤龙东路)作为规划连接云启路、鹤龙东路、云康北路、云康南路、云城西北延线(南段)的一条南北向重要通道;解放庄路作为连接华璟中心地块与广云路的重要道路。项目建成后,将完善片区交通路网,更好地服务周边产业园、设计之都、工业区、华璟中心商业等地块,促进片区地块开发以及商业、经济发展。
本项目建设内容包括道路工程、桥涵工程、管线工程、交通工程、照明工程、绿化景观工程及海绵城市等。
本工程估算总投资15801.59万元。其中工程费用 7436.99 万元,工程建设其他费用7691.12 万元,预备费673.48万元。本项目资金来源于白云区财政资金。
计划工期:以签订合同之日起开始计算,总工期365日历天(含勘察工期30日历天,设计工期30日历天,施工工期305日历天)。
目前,云城西北延线(云康南路-鹤龙东路)项目正在进行勘察设计施工总承包(EPC)公开招标。