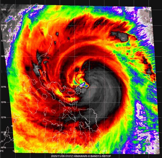
11月又一个超强台风来了,在今年第25号超强台风海鸥之后,第26号台风凤凰也成为了超强台风,按照发展趋势来看,又要影响我国? 的确,我国已经连续发布了预警,台风凤凰将影响我国,不过,路径上的变化也又在“摆动”了,那究竟是怎么回事? 不得不说,这个台风还是有点强,而且针对菲律宾来说,这波及也较大,其风圈扩展都是上千公里,所以,不可小觑,下面就详细看看情况。 冲55m/s,凤凰已成16级超强台风,即将登陆 的确,其爆发力度真的是太强了,最初我国预计比今年西太风王桦加沙可能都要强,其风王桦加沙的强度巅峰是在62m/s,要是凤凰达到了65m/s,必然就是最强的,然后,新一轮情况来看,没有机会了。 只不过,虽然这个台风还未登陆,但由于其风圈太大了,这个可以跟风王对比一下,所以,已经覆盖了菲律宾大部区域。 按照我国给出的趋势来看,还有机会冲55m/s的风速,但是综合性来说就是登陆前强度变化不大或略有增强,而美国也下调了。联合预警中心给出的55m/s(当下巅峰,风速计算不一样)。 这可以看得出来,这个台风整体还是不弱,虽然没有风王那么强,然而,按照当下的强度来看,有可能这个台风是以巅峰强度登陆菲律宾东部,然后进入南海,进入南海之后,强度就会下滑不少,我国给出只有13级左右的强度。 但是值得注意的是,在后续的路径上,有出现摆动的情况,这个也需要注意一下。 当下给出的路径路线都是南海北上,然后有概率在我国台湾登陆一次,强度是在热带风暴级别,9级左右。 但是,也有部分数值数据认为会转弯南下,要是南下的话,强度虽然减弱不少,但是对广东的风雨范围要影响大一点。 所以,这会存在部分数值数据调整南下的情况,这里先看一下,这是进入南海之后的波动,反正无论是北上,还是南下,这个强度都不会太大,因为也会推动冷空气的吸收,地形,海温条件等等,都会影响它的强度变化。 这里先看一下就行,以我国的路线多多为主,但对于菲律宾的登陆,这是当下无法避开的,这就是凤凰的情况。 超强台风凤凰,如何影响我国? 对于我国来说,当下其实部分外围风圈已经带动了大气环流的改变,在影响我国东部区域了,只是不强,而随着它往菲律宾东部靠近,并且登陆,我国风云都会全面发展起来,它将于10日中区前后移入南海,然后影响我国扩大。 依照情况来看,在台湾,福建,广东,浙江等地将先后迎来强降雨,不少区域的雨水量都是在50毫米以上,暴雨级别,当下我国已经给出了综合性的4天台风雨,预计第26号台风“凤凰”10-13日将给我国东南部海域和沿海地区带来明显风雨影响,所以,大家要做好台风雨的准备,多地暴雨准备。 当然,这里还是强调一下,那就是要是出现了部分数值说得难走,那对广东的降雨波动就会变大一点,因为覆盖面积多一点,这就是变数。 除了台风之外,我国的冷空气发展也在不断推进之中。 2波冷空气又要来了,影响有多大? 在本轮冷空气的尾声时段,我国又有两波冷空气准备之中,从11日起,有新一轮冷空气自西向东影响我国,从主要的冷空气团发展情况来看,还是主要走东部区域为主,并且偏北。 所以,不太会影响大范围的降温过程,降温幅度当下我国给出的是黄淮以北大部地区有4~8℃降温和大风天气,这个时候,我国东南沿海区域的暴雨,大暴雨非常激烈。 这一波冷空气预计发展到13日,而过后,很快又会来一波冷空气。 从14日起,还有一波较强冷空气影响我国,我国长江以北大部分区域先后出现4-8度气温下滑,北方局部区域可达到10度以上,然而,对于这一波冷空气来说,本来感受到了“寒潮的味道”。 结果从当下的数值数据来看,在南下的过程之中,中心冷气团出现了崩塌,最终又东移走了,导致了降温走入南方区域,还是得依靠气旋,只不过这一波冷空气在11月中旬时间还有点远,所以,先看下就行,后续应该还是会发生改变。 那么,综合来说,冷在接下来是比较多,但是现阶段主要偏北,所以,北方的冷更多一点,南方基本都是靠气旋推动,那只能等待看看后面会不会变数吧。 当下最为重要就是注意今年第26号台风凤凰的发展,这才是最为关键的,其爆发力度真的是太强了,而且很大,这覆盖圈不是一般可以想象的,做好全面台风的准备。 特别是后面东部沿海区域,有时间在台风+冷空气的配合发展之下,可能出现极端性天气过程,这就是整个情况。







