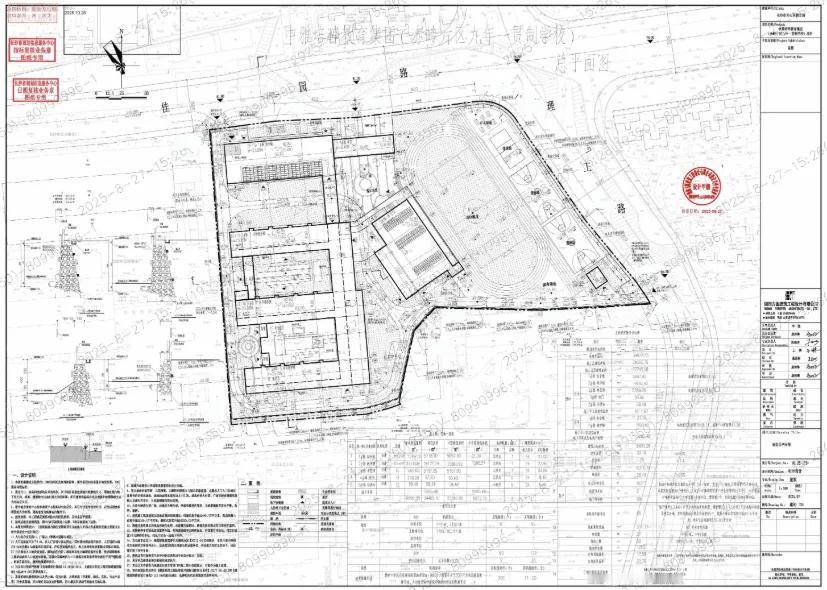
今日,长沙市自然资源和规划局发布批前公示,中雅培粹教育集团将在天心区赤岭片区新增一所九年一贯制学校——中雅培粹求真学校,这所承载着片区教育升级期待的新校,正从规划蓝图逐步走向现实。 新校选址于天心区赤岭街道核心地段,北临佳园路、东接理工路,地处龙骧集团以东、通用时代小区西区以南的城市更新黄金地块。项目净用地面积约2.22万㎡,总建筑面积达3.46万㎡,规划建设27个教学班,其中小学18班、初中9班,可容纳1260名学生就读。从规划细节看,校园采用低容积率设计,容积率仅1.30,建筑 高度不超过24米,通过"动静分区"布局串联教学、运动与配套三大功能区,既保障教学秩序又为学生活动预留充足空间 。目前项目已完成前期清租拆除工作,正稳步推进后续建设。 最受关注的配套入学问题已有明确答案:长沙市天心区教育局早在2025年3月31日便正式批复,距离学校直线约500米的能建·天誉府业主子女可直接配套入读该校 。这一确定性利好,让新校成为区域置业的核心吸引力之一。 作为雅礼中学核心衍生校,中雅培粹的办学实力有多重数据佐证。其初中部中考"四大率"常年稳定在30%左右,指标生连续多年实现100%录取;竞赛领域更是表现突出,2024年全国五大学科竞赛中,斩获3个国集名额、6枚金牌及13枚银牌,领跑长沙初中阵营。即便在素质教育领域,该校同样崭露头角,2025年9月首次参赛长沙市会三人篮球赛,便以8战全胜的战绩夺得青年组男子乙组冠军 。 值得注意的是,中雅培粹求真学校并非孤例,而是集团布局九年制教育的重要一环。目前中雅培粹教育集团旗下规划有未央、求真及另一所品牌学校共3所九年制分校,均配备配套入学楼盘,且均处于建设推进阶段 。相较于本部仅依赖微机派位的生源模式,这些拥有配套入学资格的分校,被视作集团锁定优质生源、扩大品牌影响力的关键布局。 新校落地亦是天心区"名校带动战略"的生动实践。近年来,天心区已推进与长郡、雅礼等名校合作办学12所,培育5个中小学教育集团,覆盖近半数学校 。2025年,除中雅培粹求真学校外,未央学校等多所品牌校均在加快建设,区域正通过"学位等人"的规划理念,持续缓解"择校热"难题。 随着中雅培粹求真学校的推进,赤岭片区近万名居民"入学远、择校难"的痛点将得到缓解,而河东优质教育资源的均衡布局,也为区域发展注入新的活力。


