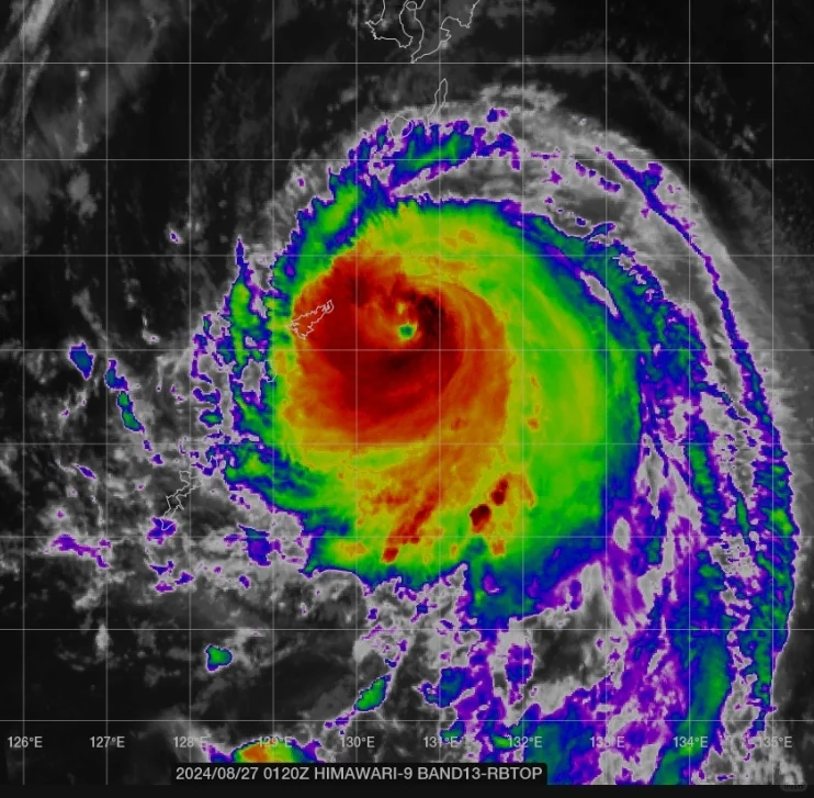
今年的第十号台风现在位于日本以南的海面上,他现在的强度已经快速增强,来到了15级。预计未来两天他将逐渐转向东偏北方向移动。目前由于副热带高压正处于断裂期,副热带高压对其引导气流较为弱,所以他会在日本近海进行慢速的徘徊打转,这也就意味着他会在黑潮暖流下有两天的发展时间。他可能会在这两天在日本的近海爆发式增长,变成16级的超强台风,随后向东偏北方向移动,横扫日本。从今天下午开始,日本四国岛的鹿儿岛附近就将开始受到影响,台风将在28日夜间到29日登陆登录之后它还会以较为慢的速度移动,在29号到30号之间袭击大阪都市圈,虽然那时候会受到山地的摩擦,台风强度有所减弱,但是还是会有7~8级的大风,十级以上的阵风横扫整个日本。这个台风其实最可怕的不仅仅是他的大风由于他移动速度的缓慢,他可能会带来非常强烈的降水,在日本这样的山地地形下很容易形成洪水。引发泥石流,滑坡等自然灾害。在日本的朋友们要做好防备,尤其是在九州岛和四国岛的朋友们要特别注意这个台风。预计这个台风的中心会在鹿儿岛一带登陆


评论列表